Guadeloupe

Jeudi, viens ramer pour ta planète !

Jeudi, viens ramer pour ta planète !

Ce jeudi aura lieu le dernier Rame pour ta planète, juste avant le début du sommet du G7 qui démarrera le même jour.

21/08/2019

Samedi, viens ramer pour ta planète

Samedi, viens ramer pour ta planète

Principal rassemblement à Bidart ce samedi pour entamer le mois du G7 !

30/07/2019

Gatien Delahaye signe avec Vissla

Gatien Delahaye signe avec Vissla

Après un début de saison canon, le Guadeloupéen de 22 ans rejoint la marque californienne.

12/07/2019

Samedi, viens ramer pour ta planète !

Samedi, viens ramer pour ta planète !

Un mois avant le G7, le mouvement Rame Pour Ta Planète se rassemble ce samedi encore, à Bidart notamment.

03/07/2019

Aurélien Buffet se (ré)chauffe en Guadeloupe

Aurélien Buffet se (ré)chauffe en Guadeloupe

De la Bretagne à la Gwada, il n'y a qu'un pas.

10/04/2019

Coup de fil à… Gatien Delahaye

Coup de fil à… Gatien Delahaye

2 min au téléphone avec le Guadeloupéen, actuel 8e du classement QS mondial !

09/04/2019

Guadeloupe : Arthur Bourbon voit la vie en noir et blanc

Guadeloupe : Arthur Bourbon voit la vie en noir et blanc

Une planche, un aileron, une session pour une minute de bonheur dans les Caraïbes.

09/08/2018

Guadeloupe : Gatien Delahaye régale

Guadeloupe : Gatien Delahaye régale

Sur son île d'adoption, le jeune surfeur de 21 ans nous donne un aperçu de ses entraînements.

05/06/2018

Tito Lavole : ce talent guadeloupéen

Tito Lavole : ce talent guadeloupéen

Le jeune français nous apporte un peu de chaleur des Caraïbes et ça fait du bien !

13/02/2018

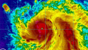
Ouragan Maria : L’alerte maximale déclenchée

Ouragan Maria : L’alerte maximale déclenchée

Le quatrième ouragan majeur de l'année était en milieu de matinée au dessus de la Guadeloupe.

19/09/2017

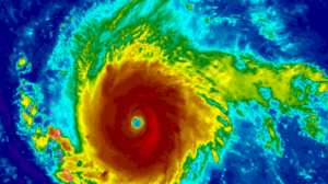
Ouragan Irma : l’alerte maximale déclenchée

Ouragan Irma : l’alerte maximale déclenchée

La tempête tropicale vient de passer en catégorie 5 et devrait toucher la Guadeloupe dans la nuit.

05/09/2017

Leo Paul Etienne // Butterfly Island

Leo Paul Etienne // Butterfly Island

Le Champion du monde ISA Junior 2014 en action chez lui en Guadeloupe. Impressionnant.

13/07/2017